Larver er ikke bare larver. De er ganske fascinerende når man først begynder at studere dem på nærmere hold og mange af dem kan også imponere med de fineste, farvestrålende klædedragter.
Hvem vil ikke gerne have besøg af sommerfugle i haven? For at der kan komme en sommerfugl, kræver det dog først, at der har været en larve. Her kommer 10 flotte, finurlige larver man kan finde i haven, hvis de rette værtplanter er i nærheden.
Dueurtsværmer (Deilephila elpenor)

En af haven mere spektakulære larver er dueurtsværmerens larve. Aftensværmeren lægger gerne sine æg på planten dueurt (deraf navnet), men også gederams og havens fuchsia bliver benyttet. Her i haven har jeg et hjørne, hvor dueurten (Lådden dueurt) får lov til at stå, men flere steder i haven står også forskellige fuchsia. Så her er der flere steder, hvor dueurtsværmeren kan lægge sine æg.
Larven er en af de mere særprægede larver, der med sine store øjne på nogle mennesker virker nuttede og andre synes de ser skræmmende ud. At virke skræmmende er også meningen med de store “øjne” som pletterne skal forstille. Det afholder sandsynligvis nogle fugle fra at spise larven. Dueurtsværmerens larve findes både i en brun og en mere grønlig version. Den kan blive omkring 80-85 mm lang og ses i august-september.
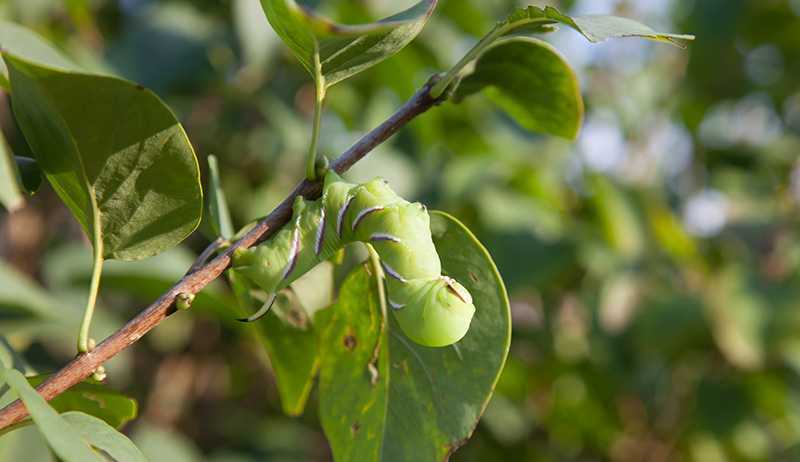
Ligustersværmer (Sphinx ligustri) – en grøn kæmpe

Havens grønne kæmpe kunne man også kalde ligustersværmerens larve. For med en længe på op til 100 mm kan den fine, lysegrønne larve med de hvide og lilla striber imponere de fleste. På bagenden har den et sort “horn”. Larven kan ikke stikke med hornet som egentlig er rimelig blød, men hornet kan virke skræmmende overfor eventuelle fjender. Til trods for sin størrelse er ligustersværmerlarven godt camoufleret. Som navnet hentyder finder man den gerne på liguster, men andre planter som snebær, syren, aks, gedeblad og spirea kan også bruges. Larven kan ses fra slut juli og nogle gange helt hen i oktober. Oftest forpupper den sig dog allerede i løbet af september nede i jorden. Her ligger den til næste forår.
Den lodne bøgenonne (Calliteara pudibunda) med det ekstra øje

Bøgenonnen er en lodden aftensværmer, der som voksen ikke gør megen væsen af sig. Dens larve derimod hører til de mere spektakulære af slagsen. Har man først set en bøgenonnelarve vil man kunne kende og huske den for altid. Larven er 20-45 mm lang og så er den dækket af fine hvide/gule børstehår over det hele. Børsterne er lettere giftige. Mellem børsterne er der sorte bånd som man først ser når den er i forsvarsposition. Så viser den det mørke bånd som kommer til at fremstå som et ekstra stort, sort øje i håb om at fjenden bliver skræmt. Når larven er lidt større får den en rød haledusk eller pensel som det også kaldes.
Man finder normalt kun bøgenonnen i større haver med en del træer eller haver tæt på skov. Som navnet hentyder til lever bøgenonnen på bøg og primært i bøgeskove, men den findes også på andre typer af løv. Larven kan variere i farven fra helt hvid til helt brunlig. Den sidder gerne under bladene og den kan ses fra juli og helt hen i starten af oktober.
Den Lille penselspinder (Orgyia antiqua) med pandehår

Lille penselspinder hører til natsværmerne som de øvrige arter af penselspindere. Også her har larven givet navn til den voksne sommerfugl. Som navnet antyder er det ikke en af de største larver. Den måler op til 40 mm. Hunnen er lidt større end hannen. Det er en utrolig flot larve! Som helt ung er den mest sort, men langsomt begynder farverne at melde sig. Den får røde rygvorter samt en sort kost bagud. Langs siden kommer også en række røde markeringer. Hudfarven skifter med alderen fra sort til blå/lilla eller mere gullig. På ryggen sidder der 4 såkaldte pensler som kan variere fra helt råhvid til gul i farven. Larven har en lys behåring ud til siderne, hvilket også giver et lyst pandehår. Lille penselspinder er ikke så kræsen med hvilke værtsplanter den kan bruge. Her er både bøg, eg, tjørn, pil og rose i spil. Larven ses helt fra maj og kan nogle gange ses helt ind til september og oktober måned. Den kommer gerne ind i haver.
Ahornuglen (Acronicta aceris) – en lille solstråle

Ahornlarven har også det smukke kaldenavn “Solstråle” og det er ikke uden grund. Når den ruller sig sammen ligner den en hel sol med sin gullige “pels” strittende ud til alle sider. Den omkring 40 mm lange larve har ofte travlt. Sådan kan det ihvertfald godt føles når man prøver at fotografere den. Den lange pels kan variere lidt i farverne til mere brungyldne eller rødlige nuancer. Langs ryggen har larven en række hvide pletter omkranset af en sort kant. Den findes ofte i haver, men også i skovkanter eller steder med levende hegn. Navnet ahornugle kommer af, at larven gerne findes på ahorn, men det er lidt misvisende, da den også ynder andre yngre løvtræer som eksempelvis eg og hestekastanie. Larven ses fra slut juli til september.
Den farverige Psi-ugle (Acronicta psi)

Natsværmeren med det lidt spøjse navn Psi-ugle har fået sit navn efter den aftegning som den voksne sommerfugl har på side grå vinger. Den sorte tegning ligner nemlig det græske bogstav psi. Larven er modsat meget mere farverig. Larven har en gul eller hvid rygstribe og hår på siderne og hovedet. Siderne er sorte og orange. Den 35-40 mm lange larve kan godt forveksles med andre arter, men de er dog mere sjældne, hvor Psi-uglen er almindelig i Danmark. Det er ikke usædvanligt at finde larven i havens roser eller frugttræer. Larven kan opleves fra midten af juli og helt frem til starten af november.
Hermelinskåben (Cerura vinula) med myresyre

Hermelinkåben er en oplevelse både som voksen sommerfugl, men bestemt også som larve. Navnet hentyder til den “hvidpelset” natsværmer med sorte aftegninger, der udgør det udvoksede individ. Hermelinskåben kendes også under navnet Gaffelhale eller Stor gaffelhale og de navne henviser til den fantastiske larve. Særligt den udvoksede larve er spektakulær. Med sine 50-80 mm lange krop (hunnen er ofte størst) er det en pæn stor grønlig larve med en bred mørk stribe langs ryggen. Striben har en hvid kant og langs siden kan den også have hvide/lyse prikker. Hovedet er brunt med en rød kant og med to øjenpletter øverst. Halen er det man kalder en gaffelhale og hvis den føler sig truet kan den skyde lange lyserøde tråde ud af gaffelhalen. Ud af trådene sender den myresyredampe som bliver spredt rundt i luften. Hermelinskåbelarven lever på og af pileblade eller poppelblade, hvilket er endnu en grund til at have pil i haven, da pil også blomstrer tidligt på året til glæde for mange insekter. Man kan finde larven fra juli til september.
Dagpåfugleøje (Inachis io)- almindelig og smuk

I haven har vi masser af dagpåfugleøjer og til trods for, at det er en af vores mest almindelige sommerfugle, synes jeg stadigvæk, at det også er en af vores smukkeste! Hvis man gerne vil have dagpåfugleøje i haven er det et must med nælder! Hos os har vi masser af nælder, men for at de er attraktive at lægge æg på, skal brændenælderne stå lyst. Det er iøvrigt ikke kun dagpåfugleøje, der lægger sine æg på nælder. Det gælder også for Nældens takvinge, Admiral, Det hvide C, Tidselsommerfugl og Nældesommerfugl. Dagpåfugleøjens larve er sort med små lyse pletter. Larverne er 38-42 mm lange og lever mange sammen. Til at starte med i et stort fælles spind, men når de er omkring 10 mm skifter de plante. De er dog stadigvæk sociale, men spredes over et lidt større areal. Larverne har et forsvar hvis de bliver truet af en fjende. Helt simpelt så brækker de sig og udgyder en væske, der ikke er attraktiv. Dagpåfugleøjens larver finder man tidligt på sommeren og gerne i maj og juni. Larverne er også sjove at følge i et terrarium fra larve til sommerfugl. Du kan læse mere om det på Naturguide.dk her: Forvandling fra larve til sommerfugl.
Snerresværmeren (Hyles gallii) stor og smuk som både larve og sommerfugl

Snerresværmeren er en af de store aftensværmere. Den er relativ almindelig herhjemme, men da den ikke flyver om dagen er det alligevel de færreste, der har set en. Larven er både stor og flot. Oftest er den mørkegrøn med et rødt horn bagerst og store gule pletter på siden omkranset af sort. På ryggen har den en gul stribe. Den findes dog også i en sort variant og ses også nogle gange helt cremefarvet. Larven ynder at være på gederams og gul snerre og gerne steder, hvor solen har magt. Jeg har gederams i haven, men gul snerre vokser lige rundt om matriklen. Den voksne sommerfugl holder gerne til på kaprifolie som en del andre aftensværmere også ynder. Heldigvis har jeg også af kaprifolie i haven, hvilket kun kan anbefales. Larven er 80-90 mm lang og overvintrer som puppe. Larven ses i juli og helt frem til september.
Haveugle (Lacanobia oleracea) findes også indendørs i drivhuse

Haveuglens larve er en mange haveejere har stiftet bekendskab med. Måske har de ikke ligefrem set larven, men så har de set de planter eller rettere sagt resterne af planterne som larven har spist! Den fuldvoksne larve bliver omkring 45 mm. Ofte kan man i planterne finde larver i forskellige størrelser og stadier. Larven er bestemt ikke kræsen når det kommer til valg af foderplante. Her i haven er den fundet på alt fra mælkebøtter, tomatplanter til tallerkensmækker. Men andre planter og buske falder også i dens smag. Larven findes i både en brun og en grøn variant. Den ses som regel fra juli til starten af september.
Der findes selvfølgelig mange flere sommerfuglelarver i haven end de ovennævnte. Hvis du finder en som du har svært ved at identificere kan du med fordel prøver at kigge forbi hos Naturguide.dk. Her finder du mange flere sommerfuglelarver i galleriet: Visuel guide til sommerfuglelarver.

