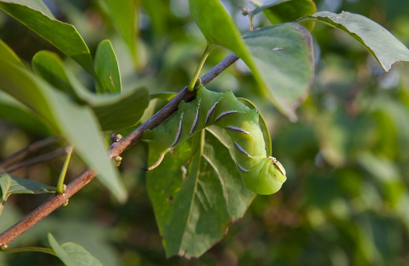
Sensommerens kæmpelarve.
Hvert år omkring september får jeg som redaktør på naturmagasinet NaturGuide.dk ofte en del læserhenvendelser fra læsere, der har fundet en kæmpe grøn larve i haven. Det er næsten uden undtagelse larven af ligustersværmeren, der er på spil – en af Danmarks største natsommerfugle med et vingefang op til 12 cm. Det er dog ikke kun som voksen at ligustersværmeren er stor og prangende. Larven kan også blive kæmpestor og forståeligt vække opmærksomhed. Den kan blive tyk som en mands finger og op til 10 cm lang!

Kig blandt bladene hos syrén, snebær og liguster
Jeg har ikke selv liguster i haven, hvor ligustersværmerlarven kan leve, men derimod en del syrener og snebær – og dér vil ligustersværmerlarven også gerne være. Hos mig optræder larven altid fåtalligt. Jeg finder sjældent mere end en eller to af de store, smukke larver. Typisk sidst i august og i de første uger af september. Og man skal kigge godt efter, for selv om larven nærmest er neongrøn med fine hvide og lilla striber på siden, så er den faktisk utroligt godt kamufleret.
Forpupper sig i jorden
I de sidste sensommerdage og hen i september søger larven ned i en lille hule i jorden, hvor den forpupper sig. Puppen ligger i jorden frem til næste forår, hvor der sker den utrolige forvandling og en fuldvoksen ligustersværmer bryder ud af puppen – og er klar til at flyve ud og indtage sommeren. Du kan se den voksne sværmer her: Ligustersværmeren – havens største aftensværmer.

Har du kaprifolie i haven (der netop dufter om aftenen for at tiltrække aftensværmerne med deres lange snabel) kan du i skumringen og om natten være heldig at opleve ligustersværmeren svirre som en kolibri foran de duftende kaprifolier.






